Ich sitze gerade in Brisbane auf der Veranda meines Hostels – es ist Karfreitag. Ich bin aufgeputscht wie ein Duracell-Hase und zugleich schläfrig wie Rainer Calmund nach seinem zweiten Hähnchen-Frühstück. Ein schizophrenes Gefühl, dass in mir Heimweh hervorruft. Die plötzliche Anwesenheit von westlichen Bürgern mit unsymmetrischen Frisuren überfordert mich und hüllt mich gleichzeitig in eine warme Decke der Vertrautheit. Zwei Wochen ist es her, dass ich auf die Salomonen geflogen bin – ein Inselstaat im Pazifik, von dessen Existenz ein Großteil der Durchschnittseuropäer nicht mal etwas ahnt. Neben der ersten Verwirrung über das “Wo” folgte meist ein “Warum”. Wie kommt man also darauf? Ziemlich einfach eigentlich. Ursprünglich war mein Plan nach Papua Neuguinea zu reisen. Doch es hat sich nach etwas intensiverer Recherche herausgestellt, dass PNG als alleinreisende Frau nicht ganz so romantisch sein kann. Viele Vergewaltigungen, kompromisslose Gangs mit Hightech-Knarren, bei denen sich Kim Yong Un mit seinen rostigen Lauben beschämt in die Ecke stellen würde oder gruselige Bergvölker, die mit riesigen Löchern in den Ohrlappen, in denen man ganze Einbauschränke installieren kann, unschuldige Trekking-Gruppen überfallen. Da ich an meinem Leben hänge, habe ich meinen Ausflug in dieses ansonsten wahnsinnig spannende Land erstmal verschoben. Dann bin ich auf die benachbarten Salomonen gestoßen, die eine ähnlich traditionelle Kultur haben, authentisch, herausfordernd, in vielen Teilen unberührt und um einiges safer sind. Perfekt für mich!
Die Salomonen sind ein Gruppe von tropischen Inseln neben Papua Neuguinea, die mit einigen aktiven Vulkanen, Regenwald und unendlichen Korallenatollen glänzen. Im 19. Jahrhundert waren Headhunting und Sklavenhandel noch richtig hipp und noch zu Beginn des 20. Jahrhunderts waren einzelne Inseln noch dick im Kannibalen-Business, sodass man Inseln wie Choiseul als Besucher nur bewaffnet betreten hat. Heutzutage sind weder Headhunting noch Kannibalismus ein Thema auf den Salomonen: Also Mutti, setz dich wieder hin. Während des Zweiten Weltkrieges waren die Salomonischen Inseln der blutige Spielplatz von Amerikanern und Japanern, die sich hier eine Bombe nach der nächsten um die Ohren gejagt haben. Der Meeresboden ist ein einziger Schwermetall-Recyclinghof: Hier liegen allerlei Wracks, die nun die Kinderstube von wunderschönen Fischen und Korallen sind.
Weather is King hier. Nie habe ich die Wettersituation in einem Land als so unberechenbar und unvorhersehbar empfunden. Wie viele Pazifikstaaten werden auch die Salomonen regelmäßig von Zyklon-Monstern heimgesucht. Auch Erdbeben und Tsunamis schauen regelmäßig vorbei. Das letzte grössere Seebeben war erst Ende letzten Jahres. Nach den Gewitterfronten kann man hier die Uhr stellen. Viele Menschen sterben auf den Inseln durch Blitzschläge. In meiner späten Begegnung mit Wahrscheinlichkeitsrechnung habe ich gelernt, dass ein Lottogewinn wahrscheinlicher ist als vom Blitz getroffen zu werden. Wenn man sich die Todesfälle durch Blitzeinschläge hier ansieht, müssten die Salomonen das Bill Gates unter den Ländern unserer Erde sein. Das Gegenteil ist der Fall – aus finanzieller Sicht hat man es hier eher mit Nadja Abd El Farrag zu tun: Vom hochentwickelten Neuseeland ging es quasi zurück in die Dritte Welt.
Die Regierung hat Probleme Rechnungen für Benzin und Telekommunikation zu zahlen, sodass beides in absurder Knappheit vorhanden ist. Wifi gibt es nur in teuren Unterkünften und das auch nur in größeren Orten, die man auf den Salomonen an einer Hand abzählen kann. Zudem steckt dieses seltsame Wesen Internet noch in den 90ern fest, kaum verbreitet und wenn mit der Geschwindigkeit von 2G – oft aber auch nur Edge (wie Ätsch). Während man mit diesem Wahnsinnsspeed seinen E-Mail-Account öffnet, hat man nicht nur Zeit sich in der Nase zu popeln, sondern kann nochmal durchwischen, seinen Hund neu frisieren und mit Oma eine Runde Romeé spielen – und vielleicht, aber auch nur vielleicht haben sich dann alle Emails geladen. Oder der Seitenaufbau konnte nicht hergestellt werden. Ätsch.
Im gesamten Land werden bis zu 120 indigene, melanesische Sprachen gesprochen – jede Insel hat quasi ihren eigenen Code. Über die eine gemeinsame Sprache ‘Pidgin’ können die einzelnen Inseln miteinander kommunizieren. Englisch ist die offizielle Amtssprache – wird aber nur von 2-5% gesprochen. Gesundheitlich bedenklich ist nicht nur das Wetter, sondern vor allem auch das hohe Aufkommen von Malaria- und Dengue-Fieber Mosquitoes und nicht zu vergessen – die Wild Bitch des Ozeans: Das auf den Salomonen weit verbreitete Salzwasserkrokodil! Hat es der neue Shooting-Star auf Anhieb unter die Top-Five der für den Menschen gefährlichsten Tiere der Welt geschafft, liegt er auch hier stets auf der Lauer nach dem nächsten Snack, was gern auch ein Hund oder planschendes Kind sein kann. Durchschnittlich 2.000 Menschen stehen pro Jahr auf der Speisekarte der Krokodile. Zum Vergleich: Ein Hai frisst im Durchschnitt 2-3 Menschen jährlich. Von daher war eine Begegnung mit der Drechsler-Maschine unter Wasser eher nicht in meinem Sinne.
Meine erste Station war Honiara, die Hauptstadt der Salomonen. Der erste Eindruck: Mittel bis verstörend. Angekommen in einem Guesthouse der Melanesian Brotherhood, in welchem die Gastgeber die Mentalität eines liegengebliebenen Fiat Pandas, die Alltagskompetenzen eines Alzheimer-Partienten und die Aufmerksamkeitsspanne eines Goldfisches hatten, war es nur schwer und mühselig an Informationen zu kommen. Doch es dämmerte bereits und ich hatte noch etliche dringende Anliegen. Wollte ich doch direkt am nächsten Tag in die Marovo Lagoon in die Western Province fahren. Da meine Vorrecherche aufgrund der mangelnden Informationslage im Budget-Sektor nicht allzu ergiebig war, wollte ich alles vor Ort planen. Nachdem ich dann endlich nach etlichen Telefonaten mein Homestay für die nächsten Tage organisieren konnte, blieb mir nichts anderes übrig als zum Hafen zu gehen und mich umzuhören, ob und wann ein Schiff in Richtung Western Province startet. Einen Zeitplan, Büros oder gar Ticketoffices gab es nicht. An Informationen gelangt man in diesem Land nur über word-of-mouth. Aber ich hatte Glück, direkt am nächsten Morgen sollte ein Dampfer ablegen. Nach einer kleinen finanziellen Prognose, durchlief ich einen Abhebe-Marathon an mehreren ATMs – stets unter der Beobachtung (zu sehr) interessierter Locals. In der Stadt, in der einem die Luftfeuchtigkeit die Kehle zuschnürt, es mehr Autos als Bürger gibt und man von herumlungernden Bürgern totgestarrt wird, war weit und breit kein anderer Tourist zu sehen. Durch die wenige touristische Infrastruktur und den hohen Benzinpreisen sind die Salomonen ein kostspieliges Abenteuer. In weiten Teilen des Landes gibt es weder ATMs noch Zivilisation. Daher musste ich zeitweise mit 11.000 Salomonischen Dollar rumlaufen, was umgerechnet 1.300€ sind. Ich habe mich wie ein millionenschwerer Drogenboss gefühlt, als ich das Geld in meinem abgedunkelten Zimmer mit meinen Haargummis in 1000ner-Bündeln zusammengeschnürt habe.
In aller Frühe ging es morgens zum Hafen. Tags zuvor hatte ich mich noch gewundert, warum um 7:00 das “Boarding” angesetzt war und es erst um 9:00 losging. Angekommen am Hafen wusste ich warum: Kolonnen mit vollgepackten Pick-ups, die ganze Einrichtungsgegenstände rankarrten, fuhren den brüchigen Jetty stundenlang auf und ab. Stühle, Kinderbett, Matratzen, Schaufel & Besen – alles musste mit. Pro Kopf konnte man weitere 3-7 Tüten oder Koffer dazu addieren. Das Schiff war ein ehemaliges chinesisches Cargoschiff, was als Passagierfähre umfunktioniert wurde. Die chinesische, völlig überfüllte Rostlaube entpuppte sich wie erwartet als unterirdisch und sah aus wie ein wiederbelebter Frachter aus dem Zweiten Weltkrieg: Keine Spur von Sicherheitsstandards und der Komfort glich einer tagelangen Reise in einer Bananenbox über den Atlantik. @Ise: Die Toilette war eine Stehtoilette, in der man mit einem gekonnten Blick die letzten 100 Jahre chinesischer Exkremente erahnen konnte. Die Tür war schlichtweg nicht mehr vorhanden. Ich als geschulter Kloinspektor erkannte sofort, dass sie rausgebrochen sein musste. Das heißt also, man stand über diesem Loch der Finsternis und vollbrachte hektisch sein Geschäft, während eine Dame ihre Hände mit braunem Wasser wusch und eine andere Dame ihr Baby auf einer baufälligen Wickelbank gerefreshed hat. Erfahrungen, die man nie vergisst – aber sich vergessen wünscht.
An Bord angekommen, war das gesamte Schiff schnell mit Matten und Matrazen tapeziert. Jede Familie hat in beeindruckender Handtuchwerf-Manier (da können die deutschen Pool-Fratzen auf Mallorca noch was abgucken) eine Ecke auf dem Schiff für sich proklamiert – denn es ging auf eine über 12-stündige Reise in den Westen der Salomonen. Am Anfang hefteten sich mal wieder alle Augen auf mich – war ich auch hier die einzige westliche Wahnsinnige weit und breit. Die wenigen Touristen (jährlich durchschnittlich 18.000, inkl. Geschäftsreisende – zum Vergleich Fiji hat über 2.000.000 Mio, exkl. Geschäftsreisende), die sich hierher verirren, fliegen meist mit teuren Inlandsfliegern (150-200€) von Insel zu Insel. Backpacker gibt es hier nicht. Neben der mangelnden Infrastruktur sind sicherlich auch die Kosten für Übernachtungen ein nicht unwesentlicher Grund dafür. Für eine absolute basic Budget-Unterkunft bezahlt man hier bereits 40-60€. Für Village- oder Homestays manchmal etwas weniger. Für gehobene Eco-Lodges (es gibt hier so gut wie keine kommerziellen Hotels oder Ressorts) kann man auch schon mal umgerechnet 150-250€ für eine Nacht auf den Tisch legen. Ja, ja alles teuer, nachdem ich auf meiner Reise immer nur durchschnittlich 15€ pro Nacht hinblättern musste.
Da saß ich nun – zusammengefercht auf einem völlig überfrachteten Schiff, allein im Nirgendwo – kein Ticket, kein Plan. Dieser Zustand dauerte Gott sei dank nicht lang an. Schon bald bin ich mit diversen Locals ins Gespräch gekommen und hatte alle Infos, die ich brauchte, um mich beruhigt auf meinen 1st-Class Stallbodensitz niederzulassen, der gleichzeitig eine Art Sandwich aus mir – dem saftigen Patty und zwei dickbäuchigen Brötchenhälften links und rechts von mir – war. Die beiden Brötchen waren zwei zauberhafte salomonische Ladies. Mit gebrochenem Englisch versuchten sie aus mir meine gesamte Lebensgeschichte herauszuprügeln. Im Austausch dafür haben sie mich kurzerhand zum “Frühstück” eingeladen: In einer großen Plastikdose voll mit Reis wurden ein paar Einwegdosen Thunfisch versenkt, jeder von uns Dreien wurde mit einem Löffel bewaffnet und schon startete die Gourmetreise durch die Tiefen einer Reis-Thunfisch-Lawine. Nicht dass es mir auch nur ansatzweise geschmeckt hat, ich habe es gehasst – aber es war einfach zu herzerwärmend wie ich den Frauen mit jedem Haps mehr ein Lächeln entlocken konnte. Zur Belohnung habe ich noch ein 1,25ml Tetrapack Schulmilch bekommen.
Da ich immer noch kein Ticket hatte, was für mich als gewissenhafter Deutscher kein tragbarer Zustand war und die Frauen auf Nachfrage nur mit den Achseln zuckten, musste ich mich auf die Suche nach einem “Crew”-Mitglied machen. Da sowas anscheinend nicht auf dem Schiff existiert (gibt es eigentlich ein Captain?!) habe ich mich an eine Person gewendet, die aussah als hätte sie Durchblick. Der Mann hieß Leon und war ein Spieler der Rugby-Nationalmannschaft, kannte den Captain persönlich (ah, es gab einen Captain – beruhigend!) und konnte ausgesprochen gut Englisch. Wir haben uns auf Anhieb super verstanden und so bekam ich einen quick overview über das ungewöhnliche Land, in dem ich mich gerade befand. Wir quatschten über die alten Headhunter-Tage, über ein traditionelles, nicht ganz ungefährliches Volk, das auf der Insel Malaita tief in den Mountains lebt und immer noch halbnackt und mit Sperren bewaffnet durch die Gegend rennt, über das Leben in der Western Province, über seine Begegnungen mit den knuddeligen Saltwater Crocodiles, über die Flut in Honiara letzte Woche, bei der mehrere Menschen ums Leben kamen, über die Shell-Money Produktion (Muschelgeld ist auf Malaita immer noch die bevorzugte Währung) und über das Alkoholproblem von einigen Einheimischen. Mit Alkohol wird hier sehr sensibel umgegangen. Denn wenn ein Salomone trinkt – dann bis zum bitteren Deadly End. Der Schnaps wird dann wasserfallartig in sich reingegossen. Oftmals wird aufgrund von teuren Import-Alk auf selbstgebrannten, hochprozentiger Stoff (70-100% Alkohol) ausgewichen, durch den viele sich im schlechtesten Fall – oh Wunder- auch mal die Speiseröhre wegätzen und wenn es ganz doof kommt, sterben. Das zeugt natürlich von einem Intellekt, der knapp unter der PS-Zahl meines alten Peugeot 206 liegt – aber auf den Salomonen kein Einzelfall ist. Durch Leon war ich auf einmal privilegiert den Captain kennenzulernen und Ecken auf dem Schiff zu sehen, die sonst keiner sieht.
Nach 8h sind wir dann endlich in die größte Salzwasser Lagune der Welt eingefahren, der Marovo Lagoon. Die Szenerie war umwerfend. Unser erster Stop war ein kleines Dorf bestehend aus ein paar Hütten. Wir hatten die Gelegenheit kurz auszusteigen und ein paar Snacks & Drinks zum Abendbrot an einem der aufgereihten Refeshment-Stände zu kaufen. Und so packten wir in unsere Einkaufstüte aus selbstgeflechteten Palmenblättern Kokosnüsse, geräucherten Fisch und eine puddigartige, nach Kartoffeln schmeckende Masse Teig ein. Nachdem die Sonne untergegangen ist, zog ein heftiges Gewitter auf. Wir saßen draußen, mitten auf dem Meer und die Blitze sind vor uns eingeschlagen. Solch ein massives Gewitter hatte ich noch nie erlebt. Die Natur scheint hier ihre eigenen Streiche zu spielen. Zwei Stunden später sind wir im stockfinsteren Seghe angekommen, der Ort an dem ich aussteigen musste. Dort haben mich Jerry und sein Sohn Dixon von meinem Homestay mit ihrem Boot wie verabredet abgeholt. Gott sei Dank.
Angekommen in deren Zuhause, das sie effektvoll “Marovo Sealodge” nennen, hat mich die gesamte Familie zu später Stunde mit offenen Mangrovenarmen empfangen. Meine vier Wände für die nächsten 3 Tage bestanden aus Palmenblättern und waren auf Stelzen im Wasser zwischen Mangroven gebaut, aus denen in regelmäßigen Abständen gutgelaunte, bunte Fische sprangen. Mit dem Sound von planschenden Fischen eingeschlafen und mit der liebreizenden Operette eines Vogel- und Insektenchors aufgewacht, habe ich am nächsten Morgen zum ersten Mal mein neues Zuhause im Hellen gesehen. Ich war im Paradies gelandet! Dieser Ort hatte etwas absolut Magisches – so unglaublich ruhig und friedlich – keine Menschenseele, fernab jeglicher Zivilisation, Telekommunikation oder Internetempfang inmitten des Pazifiks – nur die Familie, ich und mein kleines Haus mit Veranda und Hängematte über glasklarem Wasser.
Die Familie lebt hier, wie eigentlich alle Menschen, die nicht in etwas größer besiedelten Orten leben, off-the-grid. Was bei uns in der westlichen Welt eine exotische Sehnsucht ist, der Zivilisation zu entfliehen und mit den Ressourcen der Natur zu haushalten, ist auf den Salomonen nichts anderes als Normalität. Meine Hütte war einfach, aber hatte alles was ich brauchte: Ein Bett und ein Tisch. Der Steg bestand aus ein paar Holzbrettern, die lose übereinander gelegt waren und die Dusche war eine Bucketshower aus Regenwasser. Jerry hat immer gesagt, dass er und seine Familie arm seien. Aber das stimmt so nicht. In dieser Lage wohnen zu dürfen, macht sie für mich zu einer der reichsten Menschen. Ich musste ihm erklären, dass Reichtum nicht grundsätzlich etwas mit Geld zu tun haben muss, sondern mit dem was einen begleitet. Das kann dieses Grundstück sein, das schon über Jahrzehnte in der Familie weitervererbt wird, das können Menschen sein, die an deiner Seite stehen, Erfahrungen, die man macht oder besondere Momente, die man erlebt. Aber ganz sicher ist es nicht der neuste Flatscreen von Samsung oder der heißeste Schlitten von Mercedes.
Jerry ist gern ein Visionär, hat Ideen und möchte den Homestay weiter ausbauen. Denkt über eine Bar mit BBQ und sogar über eine Honeymoon Suite nach. Also, wer plant zu heiraten und nicht in einem 6-Sterne Ressort auf den Fijis den Arsch abgewischt bekommen will: In ein paar Monaten oder Jahren könnte das hier der perfekte Ort dafür sein. Jerry würde sogar den Dorfpastor akquirieren. Ich war zu der Zeit der einzige Gast. Eine weitere Hütte wird gerade noch gebaut. Manchmal habe ich mich wie in einer Kulisse von Lost gefühlt. Außer das Meer und der Regenwald im Background – komplette Einsamkeit. Am späten Abend wütete meist ein Unwetter und die friedliche Szenerie wechselte in eine völlig bedrohliche Atmosphäre. Zum ersten Mal in meinem Leben fühlte ich mich wirklich isoliert und abgeschnitten von der Außenwelt.
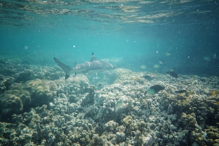
Schnell wurde ich Teil der Familie, wir aßen zusammen und machten zusammen Ausflüge – So besuchten wir am ersten Tag ihr 10-Minuten entferntes Dorf und die Kirche, gingen auf gemeinsame Kayak-Expedition im nahegelegenen River – eines der wahrscheinlich idyllischsten Plätze auf Erden. Am zweiten Tag ging es zur nicht weit entfernten Uepi Island zum Underwater Sightseeing. Hier bin ich in einer Haisuppe aus Black-Tip-Reef-Sharks und mit allen möglichen weiteren Arten tropischer Unterwasser-Exoten geschwommen. Das Reef war erstklassig. Kurz nachdem wir das Wasser verlassen haben, ist sogar eine kleine Schulklasse Delphine um die Ecke gebogen. Am dritten Tag haben wir einen Day Hike durch den Dschungel unternommen. Ziel war ein kleiner Wasserfall im absoluten Nirgendwo. Dafür sind wir erst eine Stunde in einem traditionellen Baum-Kanu auf einem Fluss gefahren, um uns dann an Land mit der Machete einen Weg durch das dichte Geäst freizucutten. Sehr abenteuerlich – aber auch unerwartet anstrengend. Die absurd hohe Luftfeuchtigkeit hat bei mir starken Schwindel erzeugt. Zudem habe ich mir in der dichten Vegetation viele Schnittwunden und später bei starkem, wasserfallartigen Regen und rutschigen Boden auch Prellungen eingeholt. Nachdem wir am Wasserfall angekommen sind, ging es erstmal mit Sack & Pack ins kühle Nass. Keine Ahnung wann dort das letzte Mal einer war – einen Trail gab es jedenfalls nicht hierher – also badete ich mir in aller Abgeschiedenheit die Seele frei. Eigentlich wollten wir den Weg zurück zum Kanu flussabwärts antreten, aber es gab kein Durchkommen und die Steine am Flussrand waren durch den Regen, bei dem man die Hand vor Augen nicht mehr sah, zu rutschig, sodass wir nach mehreren weiteren Stürzen die Route ändern mussten. Genau so eine Art von Hike ist das, was ich suchte: Keine Menschenseele, die Magie des Unerschlossenen, komplex und herausfordernd. Später gegen Abend waren wir mit dem Boot noch auf einer Saltwater-Croc-Safari. Unheimlich diese riesigen Körper mit ihren roten Augen im Wasser schweben zu sehen.
Nach dem schweren Abschied von der ganzen Familie hat mich Jerry mit seinem kleinen Boot auf die zwei Stunden entfernte Insel Tetepare übers offene Meer gebracht. Tetepare ist die größte unbewohnte Insel im Südpazifik (118qm) und besteht hauptsächlich aus unberührtem Lowland Rainforest und einem einzigartigen Marine Reservat. Drei Schildkrötenarten legen hier ihre Eier – die stark gefährdeten Leatherback Turtles und die Hawsbill Turtle sowie die Grüne Meeresschildkröte. Ansonsten treiben sich in den Gewässern vor Tetepare auch jede Menge Delphine, Haie, Salzwasser-Krokodile, diverse tropische Fische, Korallen und wenn man Glück hat sogar Dugongs rum. Wissenschaftler entdecken immer noch neue Tierarten auf Tetepare. Kürzlich wurden in einem Süßwasser-See drei neue Fisch-Spezien entdeckt. Amphibien wie der Mangrove Monitor oder andere Echsen sowie Schlangen wie die Tree Snake oder die Pacific Ground Boa, deren bloßer Anblick einen bis ins nächste Jahr durchschreien lässt, gibt es hier wie Sand am Meer – das ist nicht immer ganz einfach für meine Nerven gewesen. Weitere Viecher: Flying Foxes, diverse seltsame Vögel, riesige Coconut Crabs, unzählige Krebse und kleinere Krabbenarten sowie Wild Pigs.
Seit 2002 existiert auf der Insel eine Low-Tech Field Station, um die Erhaltung des diversen Ökosystems an Land und im Meer zu schützen. Organisiert wird die Conservation Arbeit von der TDA – Tetepare Descendants Association. TDA Ranger patrouillieren die Insel und monitoren regelmäßig die Reefs, das Seegras, die Schildkröten sowie die Coconut Crabs. Während der Brutzeit der Schildkröten haben die Ranger ein Auge auf die Eier, helfen den Babys ins Wasser und positionieren bei Gefahr die Nester um. Um den Bestand der Schildkröten zu monitoren, werden sie entsprechend getaggt und dabei Größe, Gewicht sowie andere Parameter protokolliert und manchmal auch DNA-Proben abgenommen und zu Forschungszwecken in die USA verschickt. Um die TDA finanziell zu pushen, wurde eine kleine Ecolodge auf der Insel errichtet. Lodge meint in diesem Fall kein luxuriöses Dschungel-Ressort, sondern etwa drei sehr einfach gehaltene Leafhouses mit jeweils einer Matratze, in denen maximal 13 Leute schlafen können. Kein Strom (nicht mal Solar), kein Mobilfunkempfang – Kommunikation zu anderen Inseln nur über Radiofrequenzen, kein Internet, zum Trinken gab es Regenwasser.
Als ich ankam, war ich auch hier der einzige Tourist. Mit mir waren noch drei Ranger auf der Insel, Hixon – mein persönlicher Guide, Lily – die Köchin und Romis – der Boat Driver. Das war’s. Ich bin in eine Hütte mit Meerblick gezogen, umschlungen von Vegetation. Dadurch, dass die Hütten sehr offen konstruiert waren und es in jeder Ecke auf der Insel raschelte und krabbelte, bin ich oft wie paranoid durch meine Hütte gerannt – immer auf der Suche nach der nächsten Echse, Spinne oder Schlange. Mit jedem Schritt den man selbst machte – machten unzählige Tiere, dessen Anwesenheit man sich gar nicht bewusst war – zehn Schritte von dir weg. Insekten sind auf dieser Insel gefühlt dreifach so groß. Ich erlitt wirklich viele Herzinfarkte in meiner Zeit auf der Insel. Die schwersten allerdings beim Toilettengang. Eigentlich war fast jedes Geschäft mit tierischen Überraschungen verbunden. Die Toilettenhäuschen befanden sich etwas weiter abgelegen im Bush und waren nach oben und unten hin offen. Hier die Top-3 meiner Toilettengänge:
Platz 3:
Tür auf. Tür zu. Herzstillstand. Weniger als 10cm, wo ich die Tür gegriffen hatte, befand sich eine MONSTER-Spinne – brünett und haarig wie das Brusthaar von David Hasselhoff. @Linda, dich als Arachnologe interessiert das sicher besonders: Sie hatte einen Durchmesser von mindestens 10cm. Was ich zu diesem Zeitpunkt nicht ahnte – SIE war NICHT allein. Als ich halbwegs meinen Puls runtergefahren hatte und kurz davor war den Klodeckel zu öffnen, begegneten meinen zwei Augen mindestens acht weitere tiefschwarze Augen aus der Hölle. Gleiche Spezies. Gleiche Haarlänge. Gleiche Scheußlichkeit. Verwandtschaftsgrad ungeklärt. Das war zu viel. Völlig unter Schock bin ich direkten Weges aus dem Toilettenhäuschen gestolpert. Gott sei Dank gab es nebenan noch ein weiteres WC – wo wir auch schon bei meiner Top 2 wären…
Platz 2:
Nach 10min Planung wie ich mein Geschäft am schnellsten hinter mich bringen kann, öffnete ich langsam die Tür zu Kloroom No. 2. Vorsichtig betrat ich die Danger Zone. Die Luft schien rein und so öffnete ich beruhigt den Klodeckel. Plötzlich kamen aus dem Klo drei oder mehr Geckos rausgeschossen, fast schon rausgeflogen. Reflexartig habe ich den Deckel fallen gelassen und bin schreiend rausgerannt. Wow! Ich hatte jetzt die Wahl: Spider-WC oder Gecko-WC. Was soll ich sagen. Minutenlang stand ich vor beiden Toiletten und wägte ab, schrieb in Gedanken seitenlange Pro- und Contra-Listen der beiden einzigen Klo-Optionen. Natürlich gab es nur Contras. So zählte ich also auf, welche davon schwerwiegender waren. Die Spinnen waren zwar sehr träge und bewegten sich im Prinzip nicht, sahen dafür aber fürchterlich aus (Optik ist alles..) – Während die Geckos mit viel Phantasie noch einigermaßen freundlich rüberkamen und eigentlich noch mehr Schiss hatten als ich. Sie zeigten also Schwäche. Das beruhigte mich gewissermaßen. Allerdings waren sie sehr schnell, in ihrer Bewegung unberechenbar und weniger kontrollierbar als die Spinnen. Ich entschied mich nach einer langer Verhandlung mit mir selbst für das Gecko-Klo und fasste folgende Strategie: Mit einem Stock habe ich erst außen und dann vorsichtig auch innen die Wände abgeklopft. Das fanden die Geckos gar nicht witzig und haben – zumindest in sicherer Entfernung zu mir – das Weite gesucht. Sicher war ich mir nicht, aber die Gefahr bestand weiterhin, dass sich noch mehr Geckos im Klo befanden. Also hebelte ich mit meinem Stock langsam den Deckel hoch. Und natürlich war noch einer drin. Panisch flüchtete er sich in Sicherheit. Und dann endlich! Nach bestimmt einer halben Stunde: Freie Bahn!
Platz 1:
Eines Abends in aller Dunkelheit betrat ich mal wieder die Gecko-Toilette. Während meines mittlerweile obligatorischen Safety Checks hatte ich nur ein paar flüchtende Baby-Geckos und ein paar dicke Käfer gespottet. Die Luft war also rein. Kurz nachdem ich mich aufs Klo gesetzt hatte und über Einhörner nachdachte, schlängelte sich von rechts eine Tree Snake herein. Völlig konfus zuckte ich zusammen. Sichtlich irritiert von meinen hektischen Bewegungen hob die Schlange plötzlich ihren Kopf und starrte mich an. Was für eine skurrile Situation. Unfassbar. Die Schlange vor meinen Füßen und ich auf der Kloschüssel. Diesmal konnte ich nicht rausrennen, denn sie war ja direkt vor mir. Ich versuchte meine Beine anzuheben, um irgendwie mehr Raum zwischen mir und der Schlange zu schaffen. Nach einer halben Minute hatte sie sich dann endlich dazu entschlossen auf der anderen Seite wieder rauszukriechen. Seitdem bin ich nachts nicht mehr aufs Klo gegangen und hatte meinen abendlichen Wasserhaushalt strengen Restriktionen unterworfen.
Was macht man sonst so als einziger Reisender auf diesem unbewohnten Fleckchen Erde? Ich bin mit Hixon viel über die Insel gehiked. Es gab mehrere zugewucherte Trails, die es zu erkunden gab. Hier habe ich viel über alternative Heilmethoden oder Erstversorgung nach einem Unfall mit den Ressourcen des Regenwaldes gelernt oder wie man im Dschungel tagelang ohne Wasser und Essen überleben kann. Der Crocodile Walk war dagegen etwas weniger lehrreich, dafür aber umso spektakulärer. Die Atmosphäre war wahnsinnig schön – Kokospalmen, manchmal sogar ein kleines Fitzelchen Strand (wer lange, weiße Sandstrände im Urlaub braucht, sollte sich lieber nicht für die Salomonen entscheiden), alte, surreale Korallenfelsen, auf denen urige Bäume wucherten und im Inselinneren gigantische Fig Trees, bei denen die Wurzeln meterweit nach oben wachsen – völlig crazy! Beim Crocodile Lake angekommen, war natürlich besondere Vorsicht geboten. Da kein Krokodil in Sicht war und ich wusste wie sehr ein Saltwater Croc auf Hunde abfährt, habe ich kurzerhand angefangen zu bellen. Und siehe da – ein paar Köpfe tauchten aus dem Wasser auf. Gott sei Dank weit genug von uns entfernt. Der Rückweg war nochmal ein 2-stündiger Forrest Walk, auf dem wir jede Menge Hawkbills gesehen haben – ein Vogel, der aussieht wie ein Affe und mit seinem Flügelschlag ein Geräusch macht wie eine fauchende Wildkatze. Kurz vor Ankunft in unserem Camp ist mir noch ein Monitor Lizard auf die Schulter gesprungen – sehr unangenehm. Mein Nervenkostüm, was tierische Begegnungen anbelangte, war mittlerweile überstrapaziert.
Was sonst noch? Schnorcheln! Das Reef vor Tetepare glänzte mit steilen Walls und Schluchten, tropischen Fischen, Riff-Haien, Schildkröten und Rochen. Ich hatte leider kein Glück die Dugongs zu sehen. Seit dem Tsunami vor ein paar Jahren, ist das Seegras großflächig zerstört worden, sodass die Dugongs den Rückwärtsgang eingelegt haben. Langsam erholen sich die Seegras-Felder wieder, sodass eventuell doch noch die klitzekleine Chance bestand zufällig auf eine Seekuh zu treffen. No Dugongs for me though.
Dafür aber Schildkröten! Eigentlich wollte ich mit den Rangern rausfahren, um das einzige Leatherback Turtle-Nest, was noch da war (Saison war bereits vorüber) umzusetzen. Aber durch ein kleineres Seebeben war schon seit Tagen extreme High Tide und die Brandung gefährlich, sodass wir das Nest nicht erreichen konnten. Alternativ bin ich daher morgens mit zum Tagging der Grünen Meeresschildkröten rausgefahren. Dabei gehen die Ranger nach der Rodeo-Methode vor: Ein Ranger springt vom Boot auf den Panzer der Schildkröte, packt sie und mit Hilfe der anderen Ranger wird der Riesenkoloss dann ins Boot gehievt und an Land gebracht. Hier muss sich das wundersame Wesen aus dem Meer erstmal einem Healthy Check unterziehen. Danach werden Maße und Gewicht protokolliert und dann wird die Vorderflosse mit einem Metallclip und einer Nummer markiert. Meine Schildkröte war männlich, gutaussehend, riesengroß und wog an die 100kg. Sie steckte bereits tief in der Midlife Crisis im Alter von 40-50 Jahren, das Haar lichtete sich und allerlei Narben, die das Leben schrieb, kamen zum Vorschein. Bei der Untersuchung haben wir entdeckt, dass sie erst kürzlich von einem Krokodil angegriffen sein musste. Es befanden sich enorme Kratzspuren auf dem Panzer und auf der Unterseite ein tiefer Biss. Die Ranger versicherten mir, dass sie sich wieder erholen wird, sodass ich sie einigermaßen beruhigt wieder ins Wasser lassen konnte.
Eine weitere Conversation Arbeit, an der ich teilnehmen durfte, war das Coconut Crab Monitoring. Anhand der Verbreitung und Größe der Krabben können die Ranger etwaige Auswirkungen auf das Ökosystem der Insel herausanalysieren. Die Coconut Crab (auf deutsch übrigens: Palmendieb – da sie auf Palmen klettern, die Kokosnüsse klauen, um sie auf dem Boden aufzubrechen) ist das größte auf dem Land lebende wirbellose Tier der Welt. Ausgewachsen erreichen sie eine Körperlänge von bis zu 40 Zentimetern und ein Gewicht von 3 bis 4 Kilogramm. Wir haben auf dem Kokosnuss-Strich vergleichsweise eher zierliche Exemplare gesehen, die aber in meinen Augen bereits eine exorbitante Größe hatten. Die Krabben fahren zwar auf Kokosnüsse ab, könnten aber auch ohne Probleme mit ihrer Scheren- und Körperkraft einen ganzen Hund verspeisen.
Neben den lehrreichen Exkurs in die Tier- und Pflanzenwelt konnte ich auch meinen kulturellen Horizont erweitern. Hixon hat mich eines morgens in sein Dorf auf der gegenüberliegenden Insel Rendova mitgenommen. Ein süßes, isoliertes Dorf, in welchem Männer Mitte dreißig bereits aussahen wie die Schulkameraden von Keith Richards und bei lächelnden Frauen Mitte vierzig die Mundhöhle eher einem Schlachtfeld auf dem Gaza-Streifen glich. Aber was für ein herzlicher Empfang! Wir haben die Kirchengemeinde besucht, später auch die Grundschule und die Highschool (wenn man das so nennen kann – also alles ab der 5. Klasse). Unterrichtet wird auf den Salomonen auf Englisch. Das skurrile daran: Die Kinder können, wenn überhaupt nur Englisch verstehen, aber nicht sprechen. Gesprochen wird auf Pidgin. Schnell hatte ich viele neue Freunde – vor allem die Kleinen konnten sich nicht von mir trennen und so zog ich schnell eine ganze Traube Kids hinter mir her. Von westlichen Menschen scheint hier immer noch eine immense Faszination auszugehen. Später wurde ich von den Kindern zum Fußball spielen eingeladen. Jeder wollte in meiner Mannschaft sein. Absolut hinreißend! Und so spielte der FC Rendova gegen die salomonische Version des SV Werder Bremen (das war die Bedingung!). Die Klinik des Dorfes bestand aus einer Abstellkammer voll mit ein paar Pillen-Packungen, die so gut wie nie genutzt werden, da der Doktor hier immer noch “Mutter Natur” heißt und der Rest in Gottes Hand liegt. Fortbewegen können sich die Bewohner nur mit traditionellen Holzkanus, in dessen Besitz auch nur eine Handvoll Leute sind.
Und dann traf ich Evelyn. Mein absolutes Highlight und die Tante von Hixon. Evelyn ist wie sie sagt “stone-old” und denkt (erschreckenderweise wie jeder zweite auf den Salomonen), dass in Deutschland immer noch die Mauer steht. Es war harte Arbeit sie vom Gegenteil zu überzeugen. Sofort hat sie mich unter ihre Fittiche genommen und mich mit dem neusten Gossip aus dem Dorf versorgt. Nachdem ich über alle Krankheiten und Seitensprünge der Bewohner Bescheid wusste, haben wir uns über die Probleme und unterschiedlichen Bräuche in Deutschland und auf den Salomonen unterhalten. Dass wir zu Ostern wie ferngesteuert irgendwelchen Eiern und Hasen hinterherjagen, hat sie so amüsiert, dass sie vor Lachen von der Bank gefallen ist. Sie hasste Plastik. Während sie darüber sprach, musste sie sich immer wieder schütteln und bekam Gänsehaut. Ich glaube trotzdem nicht, dass sie den umfassenden Impact versteht, den Plastikmüll auf unser Ökosystem hat: Für sie “looks plastic ugly and unnatural”. Wo sie Recht hat, hat sie Recht. Die Regierung bietet den entlegenen Dörfern keine Möglichkeiten, den Müll zu recyceln oder zumindest abzutransportieren – also landet der Großteil davon im Meer. Die einzige Option die Evelyn hat, ist das Plastik zu verbrennen oder zu verbuddeln. Es gibt keine andere Wahl. Ein weiteres großes Problem auf den Salomonen sind die minderjährigen Mütter und die vielen Kinder, die hier gezeugt werden. Kondome kennen die Menschen hier nicht und oft ist auch nicht viel zu tun – arbeiten oder zur Schule gehen die wenigsten. Auch hier wird mal wieder am bösen Sozialrad gedreht: Keine Bildung – Keine Arbeit – Viel Langeweile – Viele Kinder – Armut – Kein Geld für die Bildung der Kinder. Und ohne Bildung keine Aufklärung – z.B. was Plastikmüll im Meer mit unserer Erde macht. Simpel. Ein paar Münzen verdient sich Evelyn mit aus Palmenblättern gewebten “Shopping Bags” und Matten sowie getrockneten Kokosfleisch, dass sogar nach Übersee verschifft und zu Kokosöl weiterverarbeitet wird. So saßen wir über eine Stunde da lachten und quatschten uns die Seele vom Leib. Was für authentische Begegnungen und was für ein wehmütiger Abschied.
Kommen wir zum Essen. Was gab es denn alles die letzten 10 Tage? Generell fehlte natürlich immer eines: Das Salz. Ansonsten habe ich mich größtenteils davon ernährt, was aus dem Meer kommt (Thunfisch, Tintenfisch (widerlich!!), Hummer, Seegras und merkwürdige Algen) oder unter/auf der Erde wächst (Taro-Wurzeln und Taro-Blätter, Zwiebeln, Bohnen, Tomaten, Kürbis, in Knoblauch geröstete Aubergine (Geschmacksexplosion!), karamellisierte Bananen (viel zu süß!), Kohl, Süsskartoffeln und Reis). Zum Trinken gab es selbstgemachte Zitrus-Limonade sowie Gurken-Limonade (saulecker!) oder ganz bodenständig: Eine Kokosnuss. Sagen wir mal so – es hat wahrlich nicht für die neue Recipe-Collection Pacific Edition 2017 gereicht, aber ein paar Highlights waren definitiv dabei.
Die Tage in der Marovo Lagoon bei meiner lieben salomonischen Familie und meine Zeit auf der unbewohnten, abenteuerlichen Insel Tetepare waren eine wirklich einzigartige Erfahrung. Doch die Isolation stellte mich auch auf die Probe und es war sicherlich nicht immer einfach gewisse Momente allein aushalten zu müssen und sich nicht in der Tiefe, wie ich es gerne hätte, mit anderen austauschen zu können. Man muss schon gut mit sich selbst befreundet sein, um der Abgeschiedenheit und Einsamkeit standzuhalten. Hinzu kommt der Reptilien- und Insekten Overflow, der mich trotz meiner Liebe zur Tierwelt und Natur manchmal in Angst und Schrecken versetzt hat. Oftmals stand ich auch unter Druck in der Interaktion mit den Bewohnern der Dörfer. Ist man doch immer noch einer der wenigen westlichen Menschen gewesen, den die Einheimischen hier sehen. Man hinterlässt bei diesen Leuten einen Eindruck, der eine ganze Nation oder sogar einen ganzen Kontinent repräsentiert. Die Fussstapfen, die man hier setzt, bleiben bei den Menschen erstmal haften. Es gab natürlich auch Momente, die aus finanzieller Sicht zum Nachdenken angeregt haben. Man bezahlt das viele, viele Geld, um Giftgasattacken aus der Matratze, die man mit kleinen Echsen teilt, sowie krankheitserregende Mücken oder angsteinflössende Wetterphänome zu überleben – anstand Pina Colada schlürfend am Ressort-Pool abzuhängen. Einen kurzem Moment später wusste ich aber genau, dass ich dann doch alles richtig gemacht habe. Ich habe hier zwei sehr wichtige Dinge für mein Leben gelernt – mit der Einsamkeit und mit diversen Ängsten umzugehen – sie sogar zu nutzen. Ich will daher nicht eine Sekunde missen.
Die letzten Tage auf den Salomonen konnte ich mich wieder über ein wenig mehr Zivilisation freuen. Nach 10 Tagen habe ich zum ersten mal wieder westliche Leute gesehen – eine Handvoll Tauchtouristen. Ich bin in Munda angekommen – einem kleinen Ort mit einer Hauptstraße, 4 Chinesen-Shops, einer Post, einem Tauchshop mit einer Unterkunft und Restaurant und einem Pier sowie Landing Strip. Es gab Elektrizität und Internet – 2G – was immerhin gerade dazu reichte, um mit der Außenwelt wieder in Kontakt zu treten. Ein unbeschreibliches Gefühl!
Am ersten Tag war ich direkt Tauchen. Der erste Tauch-Spot war eine Reef-Wall mit sagenhaften Korallengärten, jeder Menge Riff-Haien und anderen imposanten Fischen. Danach haben wir ein kurzes Picnic auf einer einsamen kleinen Insel gemacht. Im zweiten Tauchgang haben wir uns den amerikanischen Douglas Bomber, der während des WWII 1945 von den Japanern abgeschossen wurde, angeschaut. Mein erster Wreck Dive! Ein 2-Tank-Dive kostet hier übrigens genauso viel wie mein gesamter Open Water-Course inklusive Unterkunft in Honduras.
Am zweiten Tag bin ich dann in die Tiefen der salomonischen Geschichte abgetaucht. Ziel war Skull Island. Was sich anhört wie der letzte Teil von Indianer Jones, ist auf den Salomonen eine spirituelle, kleine Insel, auf der sich ein alter Totenkopfschrein aus vergangenen Headhunter-Tagen befindet. Mit Billy, meinem Guide für diesen Tag, haben wir auf dem Weg dorthin eine Lagune gekreuzt, in der wir völlig unerwartet auf 50-70 Delphine gestoßen sind. Der absolute Wahnsinn: Noch nie habe ich so viele Delphine auf einmal gesehen! Natürlich bin ich kurzerhand mit Schorchelrüssel bewaffnet ins Wasser gesprungen. Leider ist das Gehäuse meiner GoPro seit dem Wreck-Dive kaputt, sodass ich von dem grandiosen Anblick unter Wasser keine Aufnahmen habe. Auf Skull Island angekommen, musste Billy vor Betreten der Insel die Geister erstmal um Erlaubnis fragen, ob ich als Tourist die Insel überhaupt besuchen darf. Die Antwort war natürlich ganz klar “JA”. Neben dem Schrein mit den vielen Totenköpfen, welche die Kopfjäger an diesen Ort gebracht haben, gab es noch einen weiteren Schrein mit drei aufgerichteten Steinen für den…fertig machen zum Jubeln…Fischgott. Bevor sie mit ihren Booten rausfahren, kommen einige Fischer hierher, um Opfergaben abzulegen und für einen aussichtsreichen Fang zu beten.
Zurück zur Kopfjagd: Begonnen hat alles vor mehreren hundert Jahren mit einem fischreichen Fang einer der Inseln der Western Province. Der Fang war so groß, dass die Idee entstand, die Fische auf die einzelnen Inselvölker der Salomonen aufzuteilen. So kamen alle Völker zusammen, um ihren Teil des Fangs abzuholen. Auf den jeweiligen Anteil für die jeweilige Insel wurde aber nicht mit der Hand, sondern mit dem Fuß gezeigt. Die Vertreter der Insel Savo verstanden die Geste aus ihrer kulturellen Sicht als absolute Beleidigung und nahmen kurze Zeit später Rache, indem sie die Verantwortlichen köpften. Das Spielchen schaukelte sich so lange hoch, dass auf einmal jeder mit jedem Beef hatte und aus dem Köpfen junger Männer eine neue olympische Disziplin wurde. Irgendwann hatte jedes Volk eine eigene Headhunter-Armee, die sogenannten “Warrior”. Aus einem kulturellen Missverständnis ist später also eine regelrechte Competition geworden: Wer sammelt die meisten Köpfe von welcher Insel. Die Köpfe wurden als Trophäe mit nach Hause genommen. Ermordet wurden nur Männer, Frauen wurden eingesackt und als Geliebte “gehalten”. Natürlich konnte man auch ganz klassisch einen Warrior gegen Geld beauftragen, um seinen nervigen Nachbar zu beseitigen. Das Ende des Headhunting läuteten englische Missionare vor über 200 Jahren ein. In mutigen Verhandlungen mit den Headhunter-Chiefs machten sie den Obermackern klar, dass der wahre Gott bald kommen wird, und dass dieser keinen Bock auf das Kopfabgehacke hat. Daher muss das Headhunting aufhören, sonst gibts Stress von oben. Die Chiefs wurden mit geistlichen Druckmitteln weichgespült und so nahm die Kopfjagd Stück für Stück ab.
Nach unserem spirituellen Ausflug auf Skull Island sind wir auf eine weitere Insel gefahren, auf der eine Familie lebt, die sehr beeindruckende Schnitzerein mit sehr einfachen Tools anfertigt. Die Werke liegen leider überall verteilt in ihrem Garten herum und verwahrlosen ohne entsprechend vermarktet zu werden. Eines der Prachtstücke ist ein Replikat eines alten, traditionellen Headhunter-Kanus, was sehr liebevoll und in mühseliger Handarbeit detailreich aufbereitet wurde. Von der Familie habe ich viel über das traditionelle Tuna-Fishing und die Shell-Money-Produktion erfahren. Auf einmal kam der Herr des Hauses dann mit einer riesigen Galone voll mit einer pink-milchigen Flüssigkeit im die Ecke: Selbstgegärter Ginger-Hibiskus-Wein. Ziemlich simpel hergestellt: Man nehme etwas Wasser, bringt es mit Ingwer zum kochen, mischt ein paar Hibiskus-Blüten dazu und füllt das ganze mit Tonnen von Zucker auf, dann etwas Hefe, um den Alkohol zu erzeugen, noch kurz gefiltert und 3 Wochen ziehen lassen – Fertig ist ein fancy Drink! So standen wir da, erzählten uns Stories über die alten Kannibalentage, nickten uns zustimmend zu “einer geht noch”, ich entwickelte eine Marketingstrategie für die Familie, ihre Schnitzerein und den Wein, der mit jedem Schluck besser wurde, und redeten über die politische Situation in Europa.
Am nächsten Tag bin ich von Munda zurück nach Honiara geflogen. Der “Flughafen” in Munda war eine kleine Holzbaracke, in der man erst sein Backpack ohne jegliche Kontrollen in einen Metallwagen wirft und dann am “Gate” – einer maroden Holzbank auf seinen “Flieger” wartet – eine kleine Propeller-Maschine, in der maximal 15 Leute Platz finden, die mit angerollten Benzinfässern aufgefüllt wurde und in der die “Stewardess” gleichzeitig der Co-Pilot war. Von Honiara ging es einen Tag später direkt zurück nach Brisbane.
Next Stop ist Jakarta. Indonesien ist sozusagen das Dessert meiner Weltreise. Das sweet Ending. Ich wollte mir hier alles offen lassen, daher habe ich mir erst Last Minute Gedanken um eine mögliche Route gemacht. Da ich genug durch irgendwelche Dschungel und Nationalparks gelatscht bin, hatte ich jetzt einfach nur noch Bock in einer für Backpacker unkomplizierten Gegend abzuhängen, Surfen und Tauchen zu gehen. Hätte ich Indonesien am Anfang meiner Reise besucht, wäre ich wohl nach Sumatra, Papua oder West Timor geflogen, aber so fiel die Qual der Wahl auf Lombok und Flores.
Auf geht’s in den letzten Monat Spiel, Spaß und Spannung!










































































































































































